Okyanusların dibinde daha önce keşfedilmemiş binlerce dağ bulundu

Gezegenin üzerindeki uydulardan elde edilen veriler sonucu en az 5 bin yeni deniz dağı olduğu ortaya çıktı  

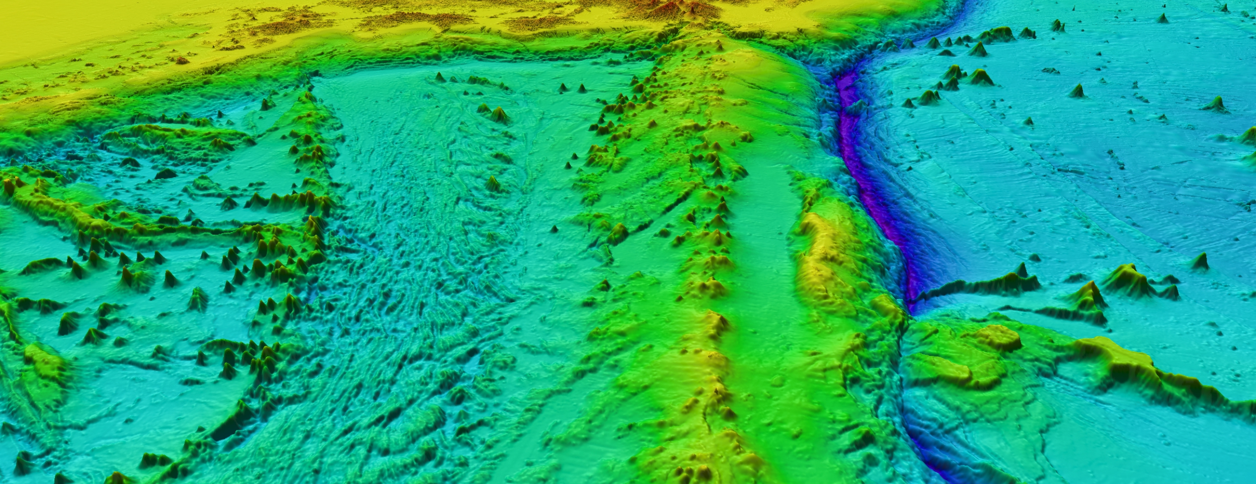
Okyanus tabanının bugüne kadar çıkartılan en eksiksiz haritasında suyun altında daha önceden keşfedilmemiş en az 5 bin civarı dağ olduğu ortaya çıktı.  

Gelecekteki iklim değişikliği ve tsunamiler hakkındaki tahminlerde kullanılabilecek bu yeni haritanın mimarları Kaliforniya Scripps Okyanusbilim Enstitüsü’nden Dr. David Sandwell ve Dr. Brook Tozer’in önderliğindeki araştırma ekibi.  

Dr. Sandwell yaptıkları son çalışmayla ilgili New Scientist’e yaptığı açıklamada deniz dağlarının haritasını çıkarma noktasında çok büyük bir ilerleme kaydedildiğini belirtti.

Beş sene önce bilim insanları uydu verilerini kullanarak 2 kilometreden uzun yapıları tespit edebilirken şu anda 1 buçuk kilometre üzerindeki her şeyi tespit edebiliyor.

Dr. Sandwell, NASA’nın iki sene içerisinde başlatılacak ve 1 kilometre yüksekliğe kadar her şeyi tespit edebilecek Swot (okyanus su yüzeyi topografyası) uydusundan sonra binlerce deniz dağının daha keşfedileceğini söyledi.

Deniz seviyesine ulaşmayan ancak deniz tabanından yükselen bu “deniz dağları” gezegenimizin üzerindeki uyduların topladığı veriler kullanılarak saptandı. Bu uydular okyanus derinindeki yapılar nedeniyle oluşan en ufak değişiklikleri tespit edebiliyor.

 

 

Dağların sayısı henüz tam belirlenememiş olsa da toplamda 10 bin civarında olabileceği düşünülüyor. 

Öte yandan, su altı dünyasının yüksek çözünürlüklü bir haritasını çıkarmak için Birleşmiş Milletler (BM) destekli Seabed 2030 girişimi isimli başka bir proje de kuruldu.

Projenin arkasındaki ekip okyanus tabanının serbestçe erişilebilir bir görüntüsünü oluşturmak için çeşitli ülkelerden ve özel şirketlerden veri toplamayı planlıyor. 

fazla oku

Bu bölüm, konuyla ilgili referans noktalarını içerir. (Related Nodes field)

Bu, su derinliği hakkında bilgi toplayan ve bu bilgileri bilim insanlarına gönderen akustik cihazlarla donatılmış balıkçı tekneleri ve diğer teknelerin donatılmasını içerebilir.

2017’de başlatılan Seabed 2030 projesinin 3 milyar dolara (yaklaşık 16,5 milyar tl) mal olması bekleniyor.

2005’te ABD nükleer denizaltısı Guam yakınında daha önce tespit edilmemiş bir deniz dağına hızla çarparak su altı dünyasının hala ne kadar gizemli olduğunu göstermişti.

 

 

 *İçerik orijinal haline bağlı kalınarak çevrilmiştir. Independent Türkçe'nin editöryal politikasını yansıtmayabilir.

https://www.independent.co.uk/news/science

Independent Türkçe için çeviren: Özlem Sakın

© The Independent

DAHA FAZLA HABER OKU